Chci ti to dát černé na bílém, řekl kominík mlynářce,
když ji políbil.
(německé přísloví)

Dolní mlýn a pila

Dolní mlýn a pila
1
Heřmanice v Podještědí
471 25
Liberec
Heřmanice v Podještědí
50° 46' 43.1'', 14° 44' 34.4''
Mlýniště bez mlýna
Vodní provoz provozovaný původně jako moučný mlýn byl začátkem 20. století přeměněn na pilu. Stál při jihovýchodním okraji Heřmanic v Podještědí, při hranici s katastrem obce Markvartice.
jihovýchodní okraj obce
Heřmanický potok
volně přístupný

Historie mlýna obsahuje událost z období:

Rok 1795 – mlynář Joseph Posselt s manželkou Barbarou rozenou Pilz, dne 22. 2. 1795 narozena dcera Maria Anna. Mlynář Josef Posselt zemřel 12. 5. 1803 ve věku 60 roků (narozen 1743). Mlýn převzal jeho syn Franz Anton Posselt s manželkou Katharinou.

Rok 1820 – mlýn provozoval mlynář Joseph Bürger, který sem přišel z Žibřidic čp. 10, kde se narodil jako syn tamního mlynáře Wenzela Bürgera a jeho manželky Elisabeth. Na mlýn se přiženil, oženil se s Marií Annou (Mariannou) Posselt, dcerou předchozího, již zemřelého zdejšího mlynáře Josepha Posselta, 4. 6. 1820 se jim narodil syn Franz, kterému byl za kmotra Joseph Kössler, mlynář z obce Grund (Podluží).

Rok 1841 – mlýn provozoval Franz Göbel (syn mlynáře Winzenze Göbela ze mlýna v Heřmanicích čp. 117 a Veroniky rozené Schmidt z Jablonného, narozen 1816). Jeho první manželkou byla Anna rozená Wollmann (dcera mlynáře Franze Wollmanna z Velkého Valtinova čp. 42 a Veroniky rozené Schröter z Jablonného čp. 153, narozena 1810, při sňatku uváděna jako ovdovělá). Sňatek se konal 21. 9. 1841, již 12. 10. 1841 se narodil syn Joseph (zemřel v únoru 1842). Dítěti byl za kmotra byl Joseph Wollmann, syn mlynáře Franze Wollmanna z Velkého Valtinova 42.

Události
  • První písemná zmínka o existenci vodního díla
  • Vznik mlynářské živnosti

V roce 1853 zde byl stále Franz Göbel, avšak z druhou manželkou Veronikou, rozenou Bürger, která byla dcerou mlynáře Josefa Bürgera z Konrádova čp. 4. Z manželství vzešly děti Josef, Maria, Antonia, Wilhelmina, Anna, Franz, Wenzel, Gustav a Wilhelm.

V roce 1879 je na mlýně další generace, a to Josef Göbel, Franzův syn z druhého manželství s Veronikou Bürger. Za manželku měl Rosinu rozenou Habel původem z obce Proseč (zaniklá obec  na území Ralska). Na mlýně se jim postupně narodily děti Wilhelmine (5. 11. 1879 – 29. 6. 1943), Emil (17. 9. 1882 – 3. 4. 1883), Bertha (23. 5. 1885 – 6. 6. 1885). Po narození dcery Berthy Franzova manželka Rosina zemřela a vdovec se v únoru 1886 podruhé oženil. Vzal si Marii Theresii, vdovu po mlynáři Wenzelu Watzelovi ze mlýna v obci Janská 12. V říjnu 1886 se manželům zde na mlýně v Heřmanicích narodil syn Emil Franz (12. 10. 1886 – 3. 4. 1887 v obci Janská u české Kamenice). Manželé na zdejším mlýně zůstali do roku 1892, poté odešli na mlýn do obce Janská čp. 12, kde je následně Josef Göbel uváděn jako mlynář.

Na zdejší mlýn přišel nový rod, a to Elstnerové. V roce 1893 zde byl mlynářem Josef Elstner, který se přišel z Jablonného v Podještědí, kde se narodil na mlýně čp. 269 jako syn mlynáře Josefa Elstnera a Marie, rozené Giebe z Hrádku nad Nisou. Za manželku si vzal Annu Selmu, rozenou Fischer, z České Lípy. Elstnerým se zde postupně narodily děti Josef, Alfred Franz, Marie Rosa, Anna a Heinrich.

Hospodářský typ mlýna
Námezdní

Mlýn převzali synové Josefa Elstnera a přebudovali ho na pilu. Jako provozovatelé pily jsou uváděni v seznamu vodních děl v roce 1930.

Události
  • Zánik mlynářské živnosti

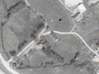
Na leteckém snímku z roku 1954 jsou vidět již jen trosky budovy.

Události
  • Zánik budovy mlýna

Příjmení mlynářů působících na mlýně:

  • Posselt
  • Bürger
  • Göbel
  • Elstner

Historie mlýna také obsahuje:

1795 Josef Posselt

Franz Anton Posselt

1820 Josef Bürger

1841 Franz Göbel

1879 - 1892 Josef Göbel

1893 Josef Elstner

1930 synové Josefa Elstnera

Mlýn je vyobrazen na:

Předměty spojené s osobou mlynáře a provozu:

    neexistuje
    08 2020
      venkovský
      mlýn na potoku (50 - 1000 l/s)
        zděná
            • zcela bez technologie aj.
            Žádná položka není vyplněna
            Zaniklý
            • pila
            1930 pouze pila
            • stavidlo
            • vantroky
            • rybník
            • odtokový kanál
            • lednice
            Typvodní kolo na vrchní vodu
            StavZaniklý
            Popis1930 – jedno vodní kolo na vrchní vodu, hltnost 0,1375 m3/s, spád 5,13 m, výkon 6,3 HP
            Typvodní kolo na vrchní vodu
            StavZaniklý
            Popis1930 – jedno vodní kolo na vrchní vodu, hltnost 0,1375 m3/s, spád 5,13 m, výkon 6,3 HP
            Žádná položka není vyplněna
            Historické technologické prvky
            AutorMinisterstvo financí
            NázevSeznam a mapa vodních děl Republiky československé
            Rok vydání1932
            Místo vydáníPraha
            Další upřesněníLiberec, str. 33
            AutorMinisterstvo financí
            NázevSeznam a mapa vodních děl Republiky československé
            Rok vydání1932
            Místo vydáníPraha
            Další upřesněníLiberec, str. 33
            AutorInternet, SOA Litoměřice
            NázevMatriky a další archiválie, obec Heřmanice v Podještědí
            Místo vydáníStátní oblastní archiv v Litoměřicích
            Další upřesněníe-badatelna, digitalizované archiválie
            Odkazhttp://www.soalitomerice.cz/
            Datum citace internetového zdroje21. 8. 2020

            Žádná položka není vyplněna

            Základní obrázky

            Historické mapy

            Současné fotografie - exteriér

            Současné fotografie - vodní dílo

            Vytvořeno

            21.8.2020 11:40 uživatelem cestovatelka

            Majitel nemovitosti

            Není vyplněn

            Spoluautoři

            Uživatel Poslední změna
            Rudolf (Rudolf Šimek) 27.8.2020 20:08
            doxa (Jan Škoda) 18.6.2024 23:46